Severe storm warnings for Ipswich, Lockyer and Sunshine Coast
South-east Queensland is bracing for extreme thunderstorms with a warning issued for Ipswich, Somerset, the Lockyer Valley and the Sunshine ...
South-east Queensland is bracing for extreme thunderstorms with a warning issued for Ipswich, Somerset, the Lockyer Valley and the Sunshine ...
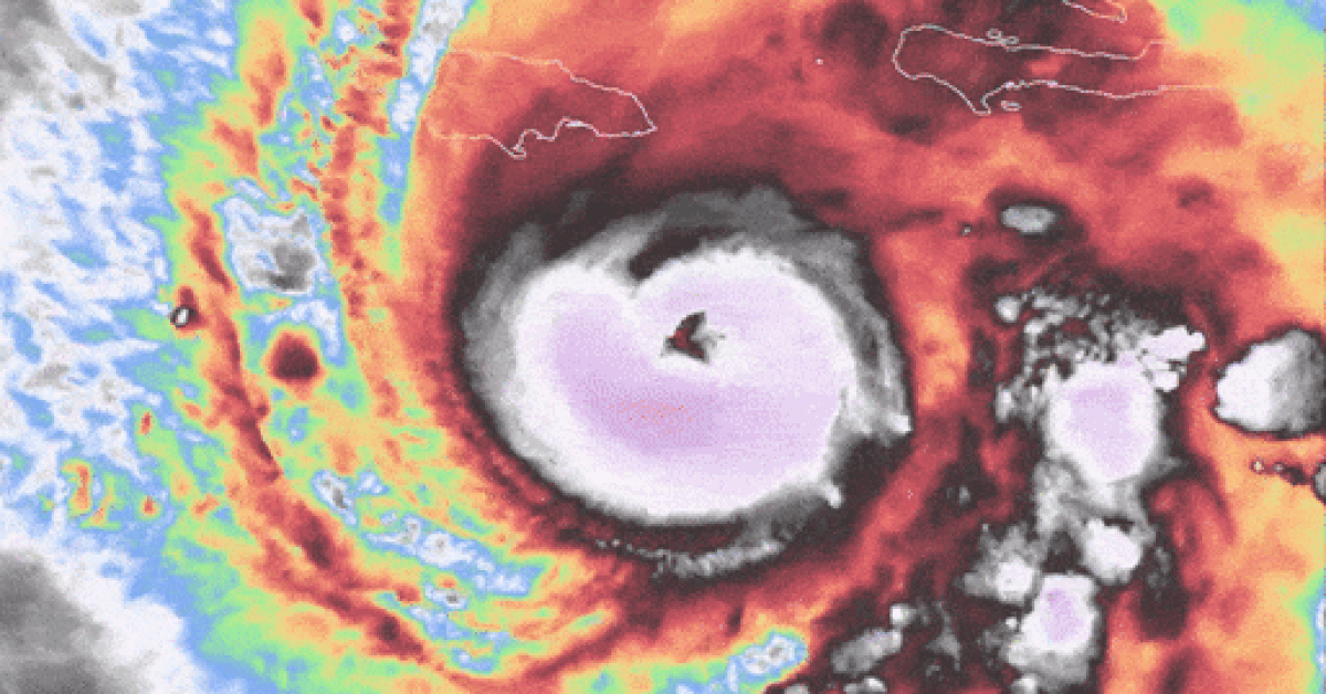
Not less than one dying was reported in Jamaica, the place Melissa roared ashore on Tuesday with prime sustained winds ...
Hurricane Melissa has made landfall in Jamaica as a catastrophic Class 5 storm, one of many strongest Atlantic hurricanes in ...
The clean-up from a devastating storm that despatched bushes crashing via roofs and powerlines, knocking out energy to tens of ...
Roman Storm, a developer of the Twister Money privacy-preserving protocol, requested the open supply software program group whether or not ...
The EcoFlow Delta 3 Max Plus is a superb transportable energy station for informal use and emergencies, with a superb ...
The sudden market crash on Friday, which precipitated some cryptocurrencies to say no by as a lot as 95% in ...
The Melbourne Storm will clear Nelson Asofa-Solomona's wage from its cap after the highly effective front-rower was granted a launch ...
Cameron Munster's late father at all times known as his son earlier than huge video games, encouraging him to again ...
Brisbane is refusing to enter a pre-NRL grand closing sledging match with Stefano Utoikamanu after the Melbourne Storm prop described ...
Copyright © 2022 - Lebanon Hub.
Copyright © 2022 - Lebanon Hub.